
Как можно вырастить что-то на Валааме, ведь слой почвы здесь в некоторых местах составляет не более десяти сантиметров? Однако валаамские насельники выращивают даже виноград. «Благодать Божия − для всего благодать, и для винограда в том числе», − говорит иеромонах Григорий (Вердян), отвечающий за монастырские сады.
У паломников и туристов вызывает неизменный интерес, что произрастает на Валааме, да и вообще людей поражает сам факт того, что на северном острове что-то растет. Современным валаамским виноградникам − около двадцати лет. Однако не нынешние насельники обители являются первопроходцами и первооткрывателями в выращивании винограда. Как мы знаем, Нижний сад славился в свое время виноградом на всю Россию. За период запустения монастыря от виноградников ничего не осталось. После возвращения в обитель первых насельников началось восстановление валаамских садов и виноградников. Тогда этим занимался бывший агроном отец Алексий, которому помогали мичуринцы. Плодоносить виноградники начали в 1998 году, когда я приехал в Валаамский монастырь и был поставлен на послушание агронома обители.
Виноград требует постоянного ухода, заботы, внимания – он словно ребенок. Необходимо обрезать лишние побеги, чтобы гроздья лучше наливались, иначе может потеряться качество винограда − весь вкус и питательные вещества как бы рассеиваются по всему неухоженному кусту, а не концентрируются в гроздьях и ягодах. Кроме того, большое значение имеет правильность подрезки винограда. Как именно и какую ветку отрезать – здесь много своих тонкостей и секретов.
Когда я только начинал заниматься виноградниками, очень сокрушался, что наши предшественники не оставили практических советов по технологии выращивания и разведения винограда в условиях валаамского климата. Всему приходилось учиться самостоятельно, читать современные книги по уходу за виноградниками в средней полосе. Особенно если учесть, что я не имел опыта не только выращивания и разведения винограда, но и ухода за растениями вообще. Так что пришлось изучать весь процесс с самых азов по книгам, по учебникам.
На Старом Валааме братия промыслительно высаживала виноград вдоль каменной стены, которая за день успевала хорошо нагреться и потом могла долго отдавать тепло. Так что при совсем неглубоком почвенном слое нужная температура поддерживалась за счет теплоотдачи. Для такого растения, как виноград, это особенно важно.
Аналогичные условия можно создать, обложив виноградные стволы камнем или бутылками из темного стекла, наполненными песком: днем тепло будет аккумулироваться, а ночью – сохранять и постепенно отдавать.
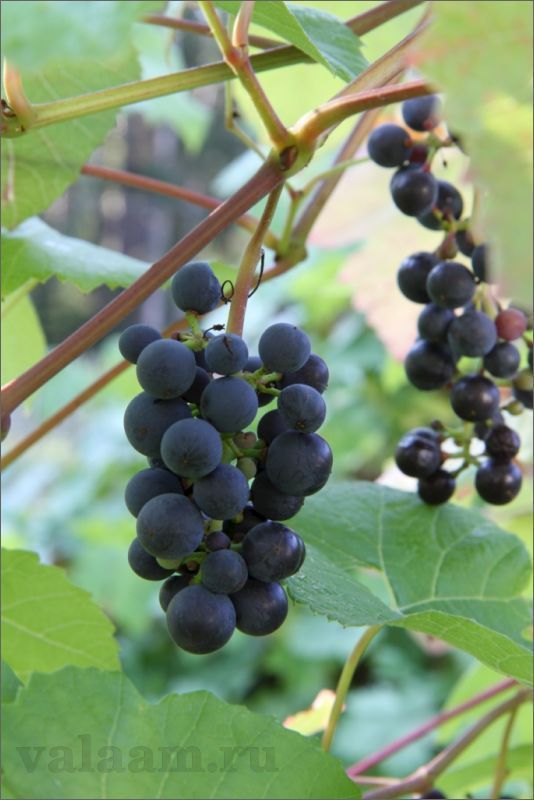
Для созревания винограда в год необходимо суммарно около 2000 градусов тепла. Хотя сейчас селекционеры стараются выводить новые сорта винограда, для которых такого объема тепла не требуется. Например, сибирские сорта − они ранние и успевают созреть даже в наших северных условиях.

Как раз не так давно нам в дар привезли несколько черенков такого сибирского винограда. Мы их высадили, они замечательно прижились и уже начали плодоносить. Сейчас у нас в планах − увеличить количество сибирских кустов и тем самым расширить разнообразие выращиваемых на Валааме сортов винограда.
Еще мы посадили знаменитый сорт «Изабелла», но, к сожалению, пока наша «Изабелла» не успевает вызреть.
Конечно, в парниках и теплицах можно выращивать все, что угодно. Но выращивать виноград на Севере, под открытым небом − уже само по себе чудо.

Главная сложность заключается в том, что катастрофически не хватает помощников, не хватает рабочих рук. И это неизменно сказывается на вкусе винограда: на одном кусте может быть спелый, сладкий плод, а на другом – недозрелый и кислый. Для того чтобы был красивый товарный вид, чтобы гроздья вызревали должным образом, важен постоянный уход. Раньше на Валааме на сто деревьев было примерно полторы тысячи монахов, а теперь сотни деревьев, которые требуют ухода, а братьев – очень мало. Тяжело, совсем не успеваем.

Параллельно сейчас мы работаем над изменением обустройства виноградника. Несмотря на то, что выращивание винограда − достаточно сложный и трудоемкий процесс, можно с абсолютной уверенностью говорить о том, что это возможно не только на юге, но и в северных широтах. Если в Сибири реально вырастить виноград, то почему же у нас нет?

Сейчас, по прошествии многих лет на послушании агронома, меня это уже не удивляет: благодать Божия − для всего благодать, и для винограда в том числе».
Записали Михаил Шишков,
Екатерина Калашникова


